Bản vẽ xin phép xây dựng nhà trọ Thuận An
05/12/2017
Mục lục [Ẩn]
Tùy theo quy mô xây dựng nhà trọ mà yêu cầu có khác nhau, nhưng về cơ bản thì phải đáp ứng các yêu cầu như sau sau:
1. Về mặt bằng: phải thể hiện đầy đủ các mặt bằng.
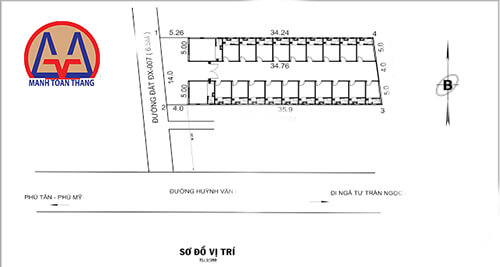
Bản vẽ xây dựng nhà trọ Thuận An
Mặt bằng tầng trệt bản vẽ nhà trọ Thuận An
Mặt bằng gác bản vẽ nhà trọ Thuận An
Mặt bằng mái bản vẽ nhà trọ Thuận An
2. Về mặt đứng - mặt đứng chính và hông.
Mặt đứng bản vẽ xây dựng nhà trọ Thuận An
3. Bản vẽ PCCC:
Liên hệ ngay để được tư vấn làm thủ tục xin cấp phép xây dựng giá rẻ nhất
ViDeo: Xin Giấy Phép Xây Dựng Thành Phố Thuận An Mới Nhất
ViDeo: Bản Vẽ Xin Cấp Phép Xây Dựng Bình Dương Bao Gồm Chi Tiết Gì?
ViDeo: Cách Viết Đơn Để Nghị Cấp Giấy Phép Xây Dựng Bình Dương
---------------------------------------
Hướng dẫn xin giấy phép xây dựng nhà ở tại Bình Dương mới nhất
---------------------------------------
Gọi ngay để được tư vấn dịch vụ miễn phí...
Hotline: 0387.475.134 Ks. Trực
Email: trucduong79@gmail.com
Địa chỉ: 17 ĐT743C, Kp. Đông Tân, P. Dĩ An, Hồ Chí Minh.
Google Maps: Click Tới Mạnh Toàn Thắng
--------------------------------------------------





Xem thêm